Bentley Systems Introduces AssetWise Digital Twin Services and OpenUtilities Digital Twin Services for Asset and Network Performance
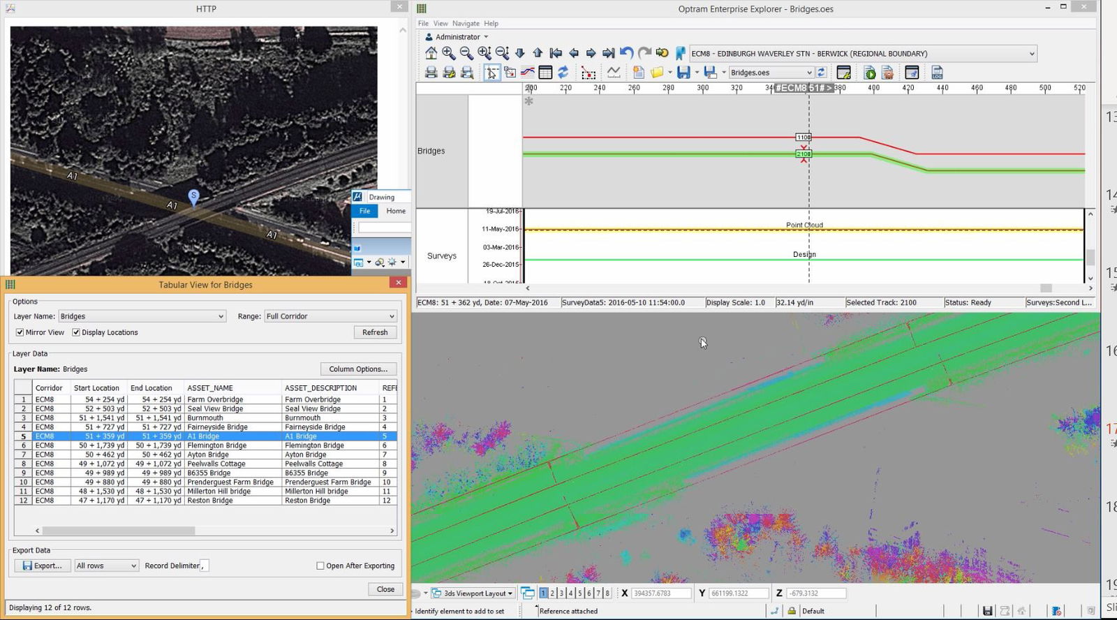
Bentley Systems introduced new digital twin services for asset and network performance to provide immersive visualization and advanced analytics for enhanced decision support and improved performance of infrastructure assets. Image courtesy of Bentley Systems.
New Immersive Asset Service enables 4D visualization and analytics visibility for “evergreen” digital twins
SINGAPORE – The Year in Infrastructure 2019 Conference – Bentley Systems, Incorporated, the leading global provider of comprehensive software and digital twin cloud services for advancing the design, construction, and operations of infrastructure, today introduced new digital twin services for asset and network performance. AssetWise Digital Twin Services converge digital context, digital components, and digital chronology to provide immersive visualization and advanced analytics for enhanced decision support and improved performance of infrastructure assets. OpenUtilities Digital Twin Services use digital twins for consolidating, validating, and aligning GIS, reality modeling, performance, simulation, and other enterprise data required to effectively manage assets including power plants, substations, and entire networks.
Alan Kiraly, senior vice president, asset and network performance for Bentley Systems, said, “In order to truly gain and act on insights that impact the performance and reliability of infrastructure assets, and also of the networks which connect them, digital twins must provide live and accurate physical and engineering data across time, effectively in 4D. Through the accessibility of cloud and web services, and our open-source platform for immersive visualization and analytics visibility, AssetWise Digital Twin Services will enable all AssetWise users, and new users, to broaden the benefits of going digital more comprehensively.”
AssetWise Digital Twin Services
iTwin Immersive Asset Service
iTwin Immersive Asset Service provides immersive visualization and analytics visibility, in a rich, interactive 4D digital twin context, for decision support to sustain and improve the performance of infrastructure assets. Its cloud and web services enable owner-operators to make infrastructure engineering information accessible and comprehensible to a wider population.
AssetWise 4D Analytics
AssetWise 4D Analytics uses advanced analytics and machine learning to provide insights into current conditions and trends, and to predict future performance. Data sources can include any information accessible to AssetWise including inspections, work history and extremely large data sets such as from IoT devices. Results can be understood in the digital twin’s context using extensive graphing and dashboarding capabilities.
AssetWise Linear Analytics
Traditionally, the complexity of linear assets makes it hard to visualize and understand the vast quantity of data associated with these types of networks. AssetWise Linear Analytics takes data from many observed sources and aligns it, with engineering fidelity, to location and time on a linear network. Once aligned, using a library of linear network-aware data processing rules, users can identify trends and anomalies within rail or road networks. AssetWise Linear Analytics includes visualization dashboards that provide users with instant access to all data at any location on the network.
OpenUtilities Digital Twin Services (ET, IT, OT)
Energy utilities are faced with modernizing their aging infrastructure along with the new challenges of distributed energy resources at the grid edge. OpenUtilities Digital Twin Services consolidate, validate, and align ET (engineering technology), IT, and OT information including network GIS, reality modeling, performance, simulation, and other enterprise data across departmental and workflow silos. OpenUtilities Digital Twin Services enable organizations to identify data quality issues, visualize these issues on a map, and resolve issues using smart rules and machine learning. Pre-defined and user-extensible dashboards and analytics provide insights and visualization for OpenUtilities digital twins.
Digital Co-ventures for Asset and Network Performance
(With Siemens) APM for Power Plants speeds up the digitalization of power plants and provides intelligent analytics with a range of innovative offerings and managed services solutions for Asset Performance Management.
(With Siemens) Digital Services for Brownfield T&D leverages OpenUtilities Digital Twin Services for existing substation resilience, linking together the substation model, reality context, and asset data to provide access to vital information to reduce downtime and streamline problem identification and resolution, particularly in cases where substations are remote and difficult to reach.
(With Siemens) OpenUtilities DER Planning and Design Assessment Solutions
Bentley’s OpenUtilities Analysis, OpenUtilities DER Optioneering, and OpenUtilities Design Optioneering incorporate Siemens PSS®SINCAL, a power systems analysis solution providing a seamless and continuously updated environment for modeling and simulation. These solutions enable owner-operators to more efficiently model the grid for decentralized energy without compromising safety and reliability.

About Bentley’s Asset and Network Performance Offerings
Bentley Systems undertakes to advance BIM and GIS through 4D infrastructure engineering digital twins for asset and network performance. AssetWise software and cloud services manage geo-coordinated information for asset performance modeling throughout the operations and maintenance lifecycle of infrastructure assets, and their associated networks, in transportation, water/wastewater, and energy and communications (OpenUtilities). Enterprise solutions can combine AssetWise ALIM, AssetWise Asset Reliability, AssetWise Enterprise Interoperability, and SUPERLOAD. All infrastructure owners can finally open up previously-dark engineering data for asset performance digital twins, progressively enabled by Bentley’s iTwin Services—including Immersive Asset, Linear Analytics, 4D Analytics, and OpenUtilities Digital Twin cloud services.
In 2019 ARC Advisory Group’s Asset Reliability market study named Bentley Systems as the APM market leader overall, and also as #1 in each of Transportation, Oil and Gas, and Electric Power T&D. Also in 2019, ARC’s Engineering Design Tools for Plants, Infrastructure, and BIM market study ranked Bentley #1 in Electrical T&D, Communications. Of the Bentley Infrastructure 500 Top Owners, 24 among the top 50 rely upon AssetWise.
Bentley Systems undertakes to advance BIM and GIS through 4D infrastructure engineering digital twins for asset and network performance. AssetWise software and cloud services manage geo-coordinated information for asset performance modeling throughout the operations and maintenance lifecycle of infrastructure assets, and their associated networks, in transportation, water/wastewater, and energy and communications (OpenUtilities). Enterprise solutions can combine AssetWise ALIM, AssetWise Asset Reliability, AssetWise Enterprise Interoperability, and SUPERLOAD. All infrastructure owners can finally open up previously-dark engineering data for asset performance digital twins, progressively enabled by Bentley’s iTwin Services—including Immersive Asset, Linear Analytics, 4D Analytics, and OpenUtilities Digital Twin cloud services.
In 2019 ARC Advisory Group’s Asset Reliability market study named Bentley Systems as the APM market leader overall, and also as #1 in each of Transportation, Oil and Gas, and Electric Power T&D. Also in 2019, ARC’s Engineering Design Tools for Plants, Infrastructure, and BIM market study ranked Bentley #1 in Electrical T&D, Communications. Of the Bentley Infrastructure 500 Top Owners, 24 among the top 50 rely upon AssetWise.
More about Bentley’s Asset and Network Performance Offerings:www.bentley.com/AssetWise
www.bentley.com/openutilities
About Bentley Systems
Bentley Systems is the leading global provider of software solutions to engineers, architects, geospatial professionals, constructors, and owner-operators for the design, construction, and operations of infrastructure, including public works, utilities, industrial plants, and digital cities. Bentley’s MicroStation-based open modeling applications, and its open simulation applications, accelerate design integration; its ProjectWise and SYNCHRO offerings accelerate project delivery; and its AssetWise offerings accelerate asset and network performance. Spanning infrastructure engineering, Bentley’s iTwin Services are fundamentally advancing BIM and GIS to 4D digital twins.
Bentley Systems employs more than 3,500 colleagues, generates annual revenues of $700 million in 170 countries, and has invested more than $1 billion in research, development, and acquisitions since 2014. From inception in 1984, the company has remained majority-owned by its five founding Bentley brothers. www.bentley.com
Bentley, the Bentley logo, AssetWise, AssetWise ALIM, AssetWise Asset Reliability, AssetWise Enterprise Interoperability, iTwin, MicroStation, OpenUtilities, ProjectWise, SUPERLOAD, and SYNCHRO are either registered or unregistered trademarks or service marks of Bentley Systems, Incorporated or one of its direct or indirect wholly owned subsidiaries. All other brands and product names are trademarks of their respective owners.
Author